Бородавка у Джек Рассел
Модератор: Алексей Нефедченко
Информация
Приглашаем посетить сайт ветеринарного врача-гомеопата Алексея Васильевича Нефедченко, а также сайт Гомеопатия для животных
Приглашаем посетить сайт ветеринарного врача-гомеопата Алексея Васильевича Нефедченко, а также сайт Гомеопатия для животных
-
Автор темыОльгаШ
- Хочу всё знать!

- Всего сообщений: 8
- Зарегистрирован: 04.07.2016
Бородавка у Джек Рассел
Добрый день!
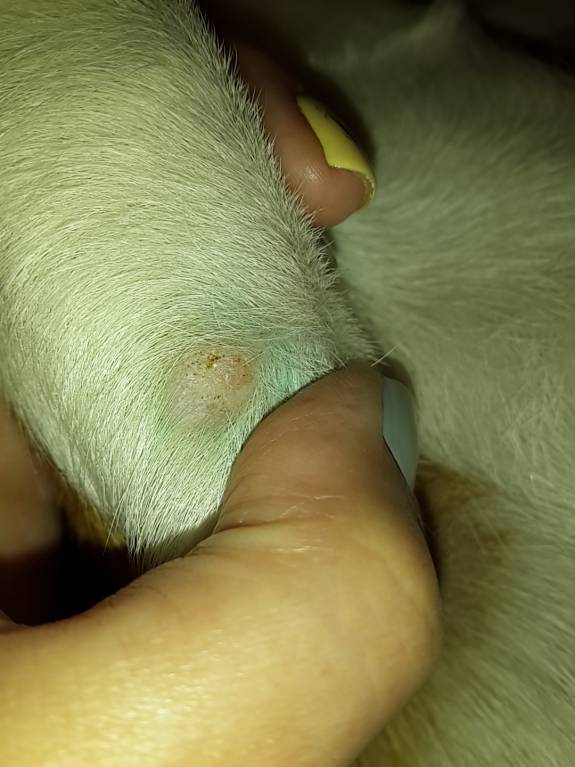
Около месяца назад заметила на передней лапе у собаке почти плоскую залысинку в виде бугорка.
Попробовала прикладывать травяные мази, которые с успехом лечат воспаления, смазывала йодом, но безуспешно. За две недели образование выросло в два раза в ширину и стало похоже на гладкую бородавку. Попробовала дать Туя30 по 4гранулки в растворе на 100мл по чайной ложке 2р/д, 2дня. На третий день у образования появилась корочка в виде болячки (зализывать не даю). И совпадение или нет, но заметила,что собака стала ласковой к своей матери радостно целоваться лезла, раньше этого она не делала.
Сдали анализ на цитологию. Вирус папилломы, в общем бородавка как объяснила врач... Вкололи зачем то новокоин+гормон+еще что то под бородавку. Пошла аллергия, шишки на голове и плюс морду раздуло немного. На третий день визита бородавка хорошо уменьшилась в размере, сняли болячку и врач сказала,что надо удалять хирургически, мол такие большие бородавки не прижигаются и не лечатся, только резать. Тогда непонятно зачем было колоть химией...
Очень прошу совета по лечению, конечно хочу гомеопатией т.к.сама ее изучаю и лечусь, но боюсь пока давать не зная доз и прочего. Схема лечения выше была назначена гомеопатом человеческим при долгих кровянных выделений у мамы собаки после родов описываемой собаки(с бородавкой), выделения ушли примерно на третий-четвертый день после приема.
Опишу собаку (сука):
Возраст 7месяцев, активная. После второй прививки (6 марта) пошла аллергия на морду-раздуло, больше ни на что аллергии нет. В области петли не так давно были мелкие гнойнички, будто луковица загноилась. Мазью все убрала травяной, возможно как раз и загнала внутрь и оно вылезло в бородавку...
Бородавка собаку никак не беспокоит абсолютно .
Собака живет со своей мамой собакой, т.е.вместе. У мамы все чисто. У мамы проблемы после родов об этом я писала выше, выделения (мазок в то время обнаружил энтерококки). Были и ложные беременности два раза(маме 3 года)
Если есть возможность напишите пожалуйста как лечить если лечатся вообще ложные беременности ?
И конечно про бородавку как и в какой потенции лечить.
Спасибо Вам большое! Буду очень признательна!
С уважением, Ольга
Около месяца назад заметила на передней лапе у собаке почти плоскую залысинку в виде бугорка.
Попробовала прикладывать травяные мази, которые с успехом лечат воспаления, смазывала йодом, но безуспешно. За две недели образование выросло в два раза в ширину и стало похоже на гладкую бородавку. Попробовала дать Туя30 по 4гранулки в растворе на 100мл по чайной ложке 2р/д, 2дня. На третий день у образования появилась корочка в виде болячки (зализывать не даю). И совпадение или нет, но заметила,что собака стала ласковой к своей матери радостно целоваться лезла, раньше этого она не делала.
Сдали анализ на цитологию. Вирус папилломы, в общем бородавка как объяснила врач... Вкололи зачем то новокоин+гормон+еще что то под бородавку. Пошла аллергия, шишки на голове и плюс морду раздуло немного. На третий день визита бородавка хорошо уменьшилась в размере, сняли болячку и врач сказала,что надо удалять хирургически, мол такие большие бородавки не прижигаются и не лечатся, только резать. Тогда непонятно зачем было колоть химией...
Очень прошу совета по лечению, конечно хочу гомеопатией т.к.сама ее изучаю и лечусь, но боюсь пока давать не зная доз и прочего. Схема лечения выше была назначена гомеопатом человеческим при долгих кровянных выделений у мамы собаки после родов описываемой собаки(с бородавкой), выделения ушли примерно на третий-четвертый день после приема.
Опишу собаку (сука):
Возраст 7месяцев, активная. После второй прививки (6 марта) пошла аллергия на морду-раздуло, больше ни на что аллергии нет. В области петли не так давно были мелкие гнойнички, будто луковица загноилась. Мазью все убрала травяной, возможно как раз и загнала внутрь и оно вылезло в бородавку...
Бородавка собаку никак не беспокоит абсолютно .
Собака живет со своей мамой собакой, т.е.вместе. У мамы все чисто. У мамы проблемы после родов об этом я писала выше, выделения (мазок в то время обнаружил энтерококки). Были и ложные беременности два раза(маме 3 года)
Если есть возможность напишите пожалуйста как лечить если лечатся вообще ложные беременности ?
И конечно про бородавку как и в какой потенции лечить.
Спасибо Вам большое! Буду очень признательна!
С уважением, Ольга
Последний раз редактировалось ОльгаШ 04 июл 2016, 10:29, всего редактировалось 1 раз.
-
Алексей Нефедченко
- Ветеринарный врач

- Всего сообщений: 1627
- Зарегистрирован: 20.06.2006
- Откуда: Новосибирск
- Контактная информация:
Re: Бородавка у Джек Рассел
У всего должна быть причина, скорее всего психологическая???? Если ее знать,легче найти препарат.
В то же время у собаки была хорошая реакция на тую. Вам ее назначали конкретно для лечения бородавки или вы ее взяли,потому что матери собаки она помогла при выделениях?
В то же время у собаки была хорошая реакция на тую. Вам ее назначали конкретно для лечения бородавки или вы ее взяли,потому что матери собаки она помогла при выделениях?
Запись на консультацию в г.Новосибирск: т. 8-923-246-31-07
-
Автор темыОльгаШ
- Хочу всё знать!

- Всего сообщений: 8
- Зарегистрирован: 04.07.2016
Re: Бородавка у Джек Рассел
Алексей Васильевич, спасибо за отклик!
Абсолютно с Вами согласна. Начало болезни всегда в голове и образе жизни.
Туя для щенка (с бородавкой) я назначила самостоятельно всего на два дня (эту же схему применял гомеопат к ее матери при послеродовых выделениях (не более двух дней Туи было назначено)) больше дней давать побоялась просто..
Вообще мои собаки довольно агрессивные по отношению к чужим псам, но агрессия заключается не в нападении, а в защите самих себя, т.е.как бы мы заранее полаем и к нам не подойдут. Стало это проявляеться, когда год назад начали гулять с психологически не уравновешенным псом, который лает на всё! Как стайное чувство моя старшая перенела это, и щенок перенимает так же. Конечно сама злюсь, наказываю шлепаю чем-нибудь.
По отдельности если гуляем без того брешущего пса, то мои собаки адекватные становятся, могут спокойно подойти и обнюхать незнакомую собаку.
Дома же спокойная обстановка, детей нет как возможных раздражителей - мучителей.
Между собой собаки дружные, играют, вылизывают друг друга.
Собак с мужем любим, дома если нашкодничают (очень редко) наказываем словесно и отправляем на место на минут 30.
Абсолютно с Вами согласна. Начало болезни всегда в голове и образе жизни.
Туя для щенка (с бородавкой) я назначила самостоятельно всего на два дня (эту же схему применял гомеопат к ее матери при послеродовых выделениях (не более двух дней Туи было назначено)) больше дней давать побоялась просто..
Вообще мои собаки довольно агрессивные по отношению к чужим псам, но агрессия заключается не в нападении, а в защите самих себя, т.е.как бы мы заранее полаем и к нам не подойдут. Стало это проявляеться, когда год назад начали гулять с психологически не уравновешенным псом, который лает на всё! Как стайное чувство моя старшая перенела это, и щенок перенимает так же. Конечно сама злюсь, наказываю шлепаю чем-нибудь.
По отдельности если гуляем без того брешущего пса, то мои собаки адекватные становятся, могут спокойно подойти и обнюхать незнакомую собаку.
Дома же спокойная обстановка, детей нет как возможных раздражителей - мучителей.
Между собой собаки дружные, играют, вылизывают друг друга.
Собак с мужем любим, дома если нашкодничают (очень редко) наказываем словесно и отправляем на место на минут 30.
-
Алексей Нефедченко
- Ветеринарный врач

- Всего сообщений: 1627
- Зарегистрирован: 20.06.2006
- Откуда: Новосибирск
- Контактная информация:
Re: Бородавка у Джек Рассел
Вы можете давать тую в течение недели или дольше, как описали выше. Только каждый день добавлять к оставшемуся раствору по 2 чайные ложки чистой воды и перемешивать, т.е.на следующий день вы добавляете объем жидкости, выпитый в предыдущий день.
В идеале бородавка должна высохнуть,хотя возможен вариант,что она вначале немного вырастит.
В идеале бородавка должна высохнуть,хотя возможен вариант,что она вначале немного вырастит.
Запись на консультацию в г.Новосибирск: т. 8-923-246-31-07
-
Автор темыОльгаШ
- Хочу всё знать!

- Всего сообщений: 8
- Зарегистрирован: 04.07.2016
Re: Бородавка у Джек Рассел
Спасибо Вам огромное!
Подскажите пожалуйста еще такой момент:
Раствор храню в чашке с крышкой, могу в бутылочке соблюдая конечно все правила хранения гомеопатии.
Как долго может храниться гомеопатия в разведении? За неделю и более не испортится?
Сама лично принимаю гомеопатию (Тую в том числе) в растворе на 100мл воды, ст.лодка водки как консервант.
Подскажите пожалуйста еще такой момент:
Раствор храню в чашке с крышкой, могу в бутылочке соблюдая конечно все правила хранения гомеопатии.
Как долго может храниться гомеопатия в разведении? За неделю и более не испортится?
Сама лично принимаю гомеопатию (Тую в том числе) в растворе на 100мл воды, ст.лодка водки как консервант.
-
Алексей Нефедченко
- Ветеринарный врач

- Всего сообщений: 1627
- Зарегистрирован: 20.06.2006
- Откуда: Новосибирск
- Контактная информация:
Re: Бородавка у Джек Рассел
В чистой стекляной или пластиковой бутылке объемом не меньше 200 мл с пластиковой крышкой. Хранить в темном месте, отдельно от электромагнитных приборов. Можно и без водки.
Запись на консультацию в г.Новосибирск: т. 8-923-246-31-07
-
Автор темыОльгаШ
- Хочу всё знать!

- Всего сообщений: 8
- Зарегистрирован: 04.07.2016
Re: Бородавка у Джек Рассел
Еще раз спасибо Вам огромное!
Сегодня начну прием. Отпишусь как идут дела в дальнейшем.
Сегодня начну прием. Отпишусь как идут дела в дальнейшем.
-
Автор темыОльгаШ
- Хочу всё знать!

- Всего сообщений: 8
- Зарегистрирован: 04.07.2016
Re: Бородавка у Джек Рассел
Алексей Васильевич, добрый день!
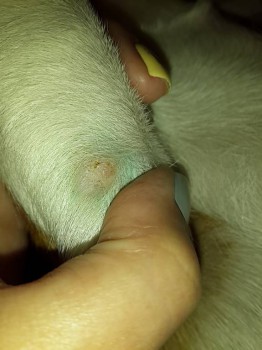
Вчера был четвертый день приема Туи в растворе.
Бородавка можно сказать на глазах практически исчезла, осталось еще небольшое уплотнение иногда даже приходится потрудиться, чтобы нащупать ее, когда на лапу не смотришь.
Стоит ли продолжать давать Тую? Вроде еще недельку препарат должен работать...
И кстати вспомнила, когда был сильный стресс у собаки-в начале июня пошли на салют, щенок очень испугался, пищала и буквально вкапывалась в землю, чтобы убежать домой...Видимо от сюда все пошло.
С уважением, Ольга
Вчера был четвертый день приема Туи в растворе.
Бородавка можно сказать на глазах практически исчезла, осталось еще небольшое уплотнение иногда даже приходится потрудиться, чтобы нащупать ее, когда на лапу не смотришь.
Стоит ли продолжать давать Тую? Вроде еще недельку препарат должен работать...
И кстати вспомнила, когда был сильный стресс у собаки-в начале июня пошли на салют, щенок очень испугался, пищала и буквально вкапывалась в землю, чтобы убежать домой...Видимо от сюда все пошло.
С уважением, Ольга
-
Алексей Нефедченко
- Ветеринарный врач

- Всего сообщений: 1627
- Зарегистрирован: 20.06.2006
- Откуда: Новосибирск
- Контактная информация:
Re: Бородавка у Джек Рассел
Лучше курс 7 дней закончить.
Запись на консультацию в г.Новосибирск: т. 8-923-246-31-07
-
Автор темыОльгаШ
- Хочу всё знать!

- Всего сообщений: 8
- Зарегистрирован: 04.07.2016
-
- Похожие темы
- Ответы
- Просмотры
- Последнее сообщение
-
- 2 Ответы
- 1544 Просмотры
-
Последнее сообщение ОльгаШ
Мобильная версия
